Les dysplasies articulaires résultent de facteurs génétiques et environnementaux. Elles se manifestent précocement ou progressivement. L’identification des signes cliniques précoces est indispensable. Le diagnostic repose sur des protocoles d’imagerie validés. La prévention implique l’alimentation, l’activité, le suivi vétérinaire et des techniques ostéopathiques.
Ce processus de prévention dysplasie chien optimise la croissance articulaire et la biomécanique.
Temps de lecture : 4 minutes.
Introduction
La prévention dysplasie chien s’impose comme une priorité dans la santé animale moderne.
Ce terme désigne des anomalies de développement articulaire.
Elle affecte principalement la hanche et le coude, avec des conséquences durables.
Chez toutes les espèces, ces troubles altèrent la mobilité et la qualité de vie.
Pourtant, la science vétérinaire propose des outils de prévention dysplasie chien efficaces, fondés sur l’environnement, l’alimentation, le mouvement et l’accompagnement biomécanique.
L’ostéopathie animale, intégrée dans un parcours structuré, apporte une valeur ajoutée reconnue.
Définition et mécanismes de la dysplasie chez le chien
Chez le chien, la dysplasie est une affection développementale de l’appareil locomoteur.
Elle concerne principalement l’articulation coxo-fémorale et l’articulation du coude.
Ces deux localisations sont largement décrites dans la littérature vétérinaire.
La dysplasie de la hanche résulte d’un défaut de congruence entre la tête fémorale et l’acétabulum.
Elle entraîne une instabilité articulaire précoce.
Par conséquent, les contraintes mécaniques sont mal réparties.
Le cartilage subit alors des microtraumatismes répétés.
Progressivement, une arthrose secondaire s’installe.

La dysplasie du coude correspond à un ensemble de troubles développementaux.
Elle inclut notamment l’incongruence articulaire, la fragmentation du processus coronoïde médial et les anomalies de l’olécrâne.
Ces atteintes perturbent la transmission normale des forces au niveau du membre antérieur.
Ainsi, l’usure articulaire apparaît parfois très tôt.

Sur le plan scientifique, ces deux dysplasies sont reconnues comme multifactorielle.
La génétique influence fortement le risque.
Cependant, l’environnement conditionne l’expression clinique.
Ainsi, la prévention de la dysplasie chez le chien vise à limiter les contraintes biomécaniques sur des articulations immatures ou vulnérables.
Comment reconnaître les signes cliniques ?
Les signes varient selon l’âge et la sévérité.
Cependant, certains indicateurs sont constants.
Chez le chiot :
-
démarche chaloupée,
-
difficulté à se lever,
-
fatigabilité rapide.
Chez le chien adulte :
-
boiteries intermittentes,
-
intolérance à l’exercice,
-
raideurs après le repos.
Ainsi, l’observation précoce optimise la prévention dysplasie chien.
Diagnostic de la dysplasie chez le chien
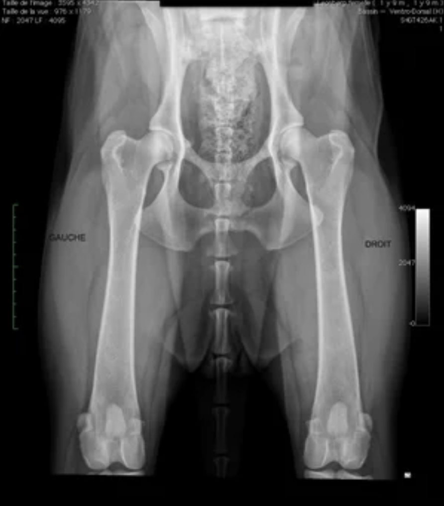
Le diagnostic repose sur une démarche standardisée. Il débute par un examen clinique orthopédique. Cependant, la confirmation passe par l’imagerie médicale.
La radiographie : examen de référence
La radiographie est la méthode de référence validée scientifiquement. Elle est réalisée sous sédation ou anesthésie légère. Le relâchement musculaire est recherché. Ainsi, la position articulaire réelle est évaluée.
Les clichés sont réalisés selon des critères stricts :
-
bassin parfaitement symétrique,
-
membres postérieurs en extension complète,
-
centrage précis sur les hanches.

Source : Société centrale Canine.
Les méthodes de notation utilisées
Plusieurs méthodes internationales sont utilisées chez le chien.
La classification FCI est majoritairement utilisée en Europe.
Les hanches sont classées de A à E :
-
A et B : hanches normales ou quasi normales,
-
C : dysplasie légère,
-
D : dysplasie moyenne,
-
E : dysplasie sévère.
La méthode OFA, surtout nord-américaine, classe également les hanches selon leur aspect radiographique global.
La méthode PennHIP mesure la laxité articulaire réelle.
Elle évalue la capacité de la tête fémorale à se déplacer hors de l’acétabulum.
Cette technique permet une détection très précoce du risque dysplasique.
Ce que le vétérinaire analyse à l’imagerie
Sur les clichés radiographiques, plusieurs critères précis sont évalués :
-
profondeur de l’acétabulum,
-
recouvrement de la tête fémorale,
-
sphéricité fémorale,
-
symétrie des deux hanches,
-
signes d’arthrose débutante.
Ces éléments objectivent la sévérité.
Ils orientent aussi la stratégie de prévention dysplasie chien.
Facteurs de risque identifiés
Les publications vétérinaires identifient plusieurs facteurs modifiables :
-
prédisposition génétique,
-
croissance trop rapide,
-
surcharge pondérale,
-
activité physique inadaptée.
Prévenir la dysplasie chez le chien : les 6 piliers validés scientifiquement
1) Contrôle du poids corporel
Le surpoids augmente significativement les contraintes sur la hanche.
Il accélère l’apparition des lésions et de l’arthrose.
Les études montrent qu’un poids contrôlé réduit la sévérité radiographique et retarde les symptômes.
Ainsi, la prévention dysplasie chien passe d’abord par une condition corporelle optimale.
2) Gestion de la croissance et nutrition adaptée
Une croissance trop rapide accentue l’instabilité articulaire.
Les apports énergétiques excessifs augmentent le risque.
La littérature vétérinaire souligne aussi les effets délétères d’un excès de calcium.
Une alimentation adaptée au stade de croissance est donc essentielle.
3) Développement de la musculature
La stabilité de la hanche dépend largement des muscles péri-articulaires.
Une musculature insuffisante laisse s’exprimer la laxité.
À l’inverse, un tonus progressif améliore le centrage articulaire.
Le renforcement doit rester doux, régulier et sans impacts.
4) Travail de la proprioception
La proprioception conditionne la qualité des appuis.
Une mauvaise coordination augmente les microtraumatismes articulaires.
Les études montrent qu’un entraînement proprioceptif améliore la stabilité et le contrôle moteur.
5) Activité physique adaptée
Le mouvement est indispensable au développement articulaire.
Cependant, les sur-sollicitations précoces sont délétères.
Les données scientifiques recommandent une activité régulière, progressive et contrôlée.
Les pics d’intensité répétés doivent être évités chez le jeune chien.
6) Dépistage et suivi précoce
La laxité articulaire est un facteur prédictif majeur.
Les méthodes de dépistage permettent d’objectiver le risque.
Un suivi précoce oriente les adaptations préventives.
Le rôle de l’ostéopathie animale dans la prévention
L’ostéopathie animale agit sur la fonction, non sur la génétique. Elle vise à optimiser les équilibres biomécaniques. Les tensions compensatoires sont réduites. Ainsi, les forces articulaires sont mieux réparties.
Chez le chiot, l’ostéopathie accompagne la croissance.
Chez l’adulte, elle améliore la mobilité fonctionnelle.
Elle s’inscrit comme un complément pertinent du suivi vétérinaire.
La prévention de la dysplasie du chien gagne alors en cohérence et en efficacité.
Conclusion
La dysplasie chez le chien n’est pas une fatalité fonctionnelle.
Une prévention structurée est possible.
Nutrition, activité, diagnostic et ostéopathie forment un ensemble cohérent.
Agir tôt améliore durablement la qualité de vie.
FAQs
- La dysplasie chez le chien est-elle uniquement génétique ?
Non. La génétique prédispose, mais l’environnement conditionne largement l’expression clinique. - Un chiot sans boiterie peut-il être dysplasique ?
Oui. La dysplasie peut rester silencieuse pendant plusieurs mois, voire plusieurs années. - Le surpoids a-t-il un impact réel sur la dysplasie ?
Oui. Les études montrent qu’un excès de poids augmente la sévérité des lésions et accélère l’arthrose. - La musculature peut-elle stabiliser une hanche dysplasique ?
Partiellement. Une musculature adaptée améliore la stabilité fonctionnelle et limite les contraintes excessives. - À quoi sert le travail de la proprioception en prévention ?
Il améliore le contrôle moteur. Ainsi, les appuis deviennent plus précis et moins traumatisants pour l’articulation. - Quel type d’activité est recommandé chez le chiot à risque ?
Une activité régulière, progressive et sans impacts répétés. Les efforts violents et brusques sont déconseillés. - À quel âge réaliser un dépistage radiographique ?
Selon la méthode, dès 4 mois pour PennHIP. Les classifications FCI s’effectuent généralement à la fin de la croissance. - Une dysplasie légère nécessite-t-elle un suivi spécifique ?
Oui. Un suivi adapté permet de ralentir l’évolution arthrosique. - L’ostéopathie animale peut-elle prévenir l’arthrose ?
Indirectement. Elle améliore la biomécanique et limite les compensations délétères. - Quand consulter en ostéopathie animale en prévention ?
Dès la croissance ou à l’apparition de signes fonctionnels discrets. Une prise en charge précoce est toujours plus bénéfique.
📚 Bibliographie scientifique
-
Kealy RD et al. Limited food consumption and hip dysplasia in dogs. JAVMA, 1992.
-
Smith GK et al. Diet restriction and hip osteoarthritis in dogs. JAVMA, 2006.
-
Richardson DC. Nutrition and canine hip dysplasia. Vet Clin North Am Small Anim Pract, 1992.
-
Sallander M et al. Diet, exercise, weight as risk factors in hip dysplasia. Journal of Nutrition, 2006.
-
Impellizeri JA et al. Weight reduction and lameness in dogs with hip OA. JAVMA, 2000.
-
Runge JJ et al. Distraction index and osteoarthritis risk in dogs. Veterinary Surgery, 2010.
-
Millis DL, Levine D. Canine Rehabilitation and Physical Therapy. Elsevier, 2014.
-
Pye C et al. Non-pharmaceutical management of canine osteoarthritis. Veterinary Sciences, 2024.
-
Brantberg I et al. Therapeutic exercise and neuromuscular control in dogs. Animals (MDPI), 2023.
